Photo: NOAA/GFNMS/CBNMS
What is Hypoxia?
Hypoxia is a term used to describe conditions when the dissolved oxygen concentration in a body of water becomes low and starts to affect aquatic organisms that require oxygen to survive. In scientific literature, hypoxia usually refers to dissolved oxygen levels below a certain threshold, most commonly 5mg/L or 2mg/L. However, the effects of hypoxia vary greatly across different animals; some species are extremely sensitive to hypoxia (fish and benthic invertebrates), while others thrive in low-oxygen environments (iron- and sulfur-reducing bacteria). Animals’ responses to hypoxia range from reduced health to death and are greatly dependent on the intensity (how low the concentration of dissolved oxygen gets) and how long the hypoxia event lasts.
Hypoxia events on Cordell Bank are relatively common, occurring about 20 times a year [DL1] on average and most frequently in late summer. Most are short-lived, lasting days to weeks at a time. There are several reasons why hypoxia may be observed at this location. The first is driven by coastal upwelling, a process by which water masses from the deep ocean, which are rich in nutrients (e.g., nitrogen and phosphorus) but low in oxygen, are brought to the surface in the spring and summer. These low-oxygen waters pass over Cordell Bank on their way to the surface, leading to hypoxia events. The second is that, following upwelling, phytoplankton blooms occur when the ocean becomes calm (termed “relaxation’). As that phytoplankton dies and sinks to the ocean floor, the decomposition process removes oxygen from the water.

Photo Credit: NOAA/CBNMS/GFNMS
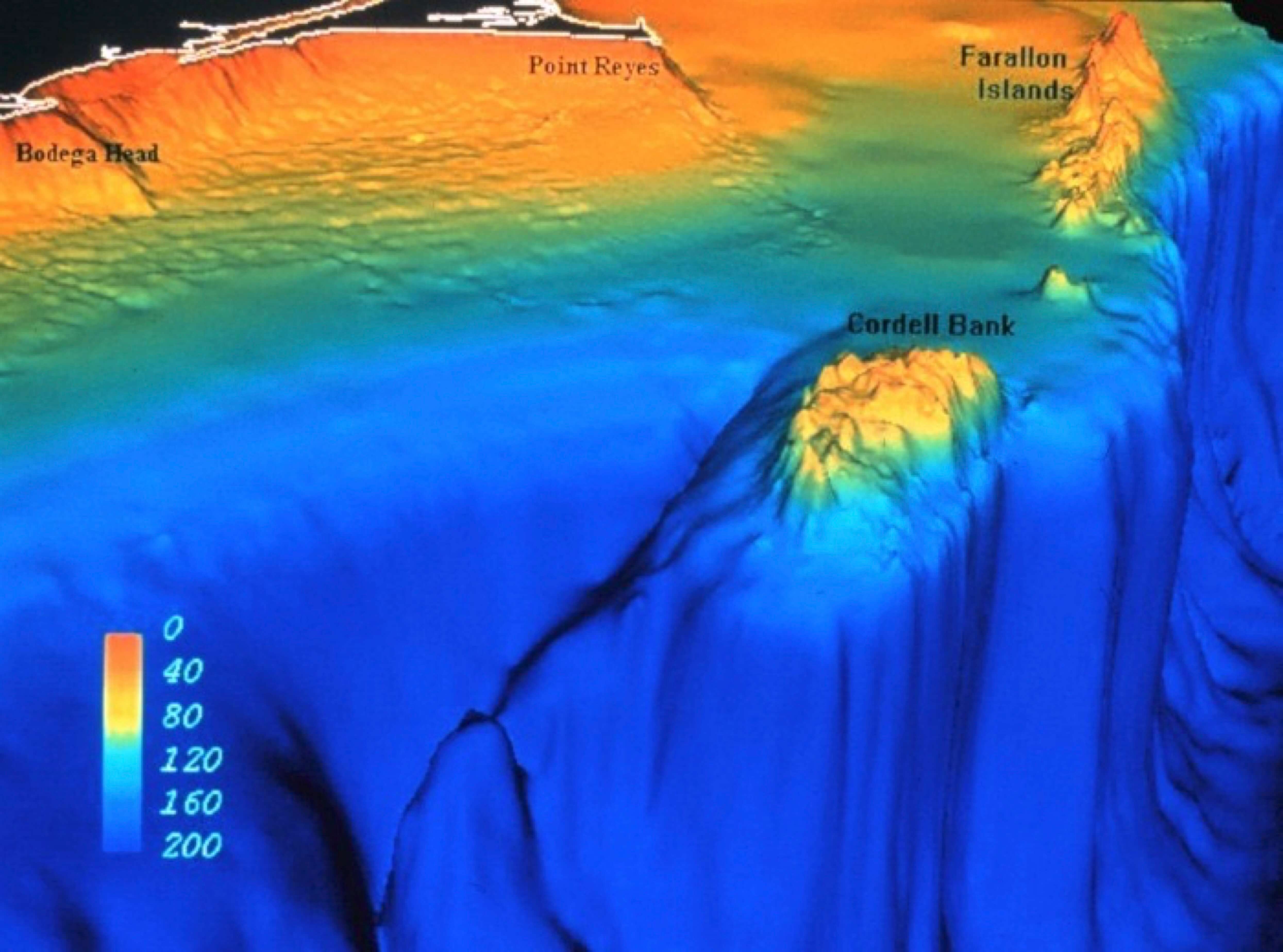
Hypoxia Monitoring at Cordell Bank
Since 2014, Cordell Marine Sanctuary Foundation (CMSF) has helped fund a joint project of Cordell Bank National Marine Sanctuary (CBNMS) and the University of California Davis Bodega Marine Laboratory to study hypoxia on Cordell Bank. After 10 years of monitoring, these efforts have produced a valuable long-term dataset that can help us understand the conditions animals living on Cordell Bank are experiencing, and if these conditions are changing over time. .
CMSF is currently funding a graduate student at Bodega Marine Laboratory to analyze the dataset and help inform conservation efforts within CBNMS. Beyond aiding in conservation efforts, the Cordell Bank hypoxia dataset can serve as the basis for future scientific work and can help oceanographers answer longstanding questions about oxygen levels in coastal and offshore environments.
Hypoxia Monitoring at Cordell Bank
What is hypoxia?
Hypoxia refers to low dissolved oxygen (DO) conditions in seawater. It is best understood as a relative condition rather than a single universal threshold, because oxygen sensitivity varies by taxonomic group and life stage. Some organisms can tolerate, or even thrive under, low-oxygen conditions, while others experience rapid stress.
Low dissolved oxygen and biological thresholds
-
DO thresholds are not one-size-fits-all; they vary by species and habitat.
- Stress responses can include fleeing, reducing activity, or lowering metabolic rate.
- Stress events can affect fitness and behavior, even when they are not lethal.
- Lethal thresholds differ from stressful thresholds, and both can depend on exposure duration.
- Time thresholds matter: short, intense events may be lethal, while longer, moderate events may be chronically stressful.
-
In the scientific literature, commonly referenced hypoxia thresholds include approximately 2 mg/L and 0.5 mg/L, while conservation-oriented approaches may use higher protective thresholds (for example, around 4.6 mg/L or values near the lower tail of oxygen distributions).
Reference: Vaquer-Sunyer and Duarte (2008)
Why hypoxia matters at Cordell Bank
- Low oxygen affects marine life that rely on oxygen to breathe, with particular concern for invertebrates and benthic fish associated with Cordell Bank.
- Dissolved oxygen can be highly variable because Cordell Bank is a mesophotic reef (the twilight zone). While some photosynthetic red algae live on the bank, much of the benthic ecosystem is supported by organic matter delivered from above.
- Hypoxia is common at Cordell Bank during summer and can become more frequent or intense in late summer, with roughly 20 hypoxic events of varying length and intensity each year.
Nutrients fuel phytoplankton blooms in the sunlit surface waters (the photic zone), forming the base of many marine food webs. Cordell Bank, however, lies below the reach of all but a small portion of sunlight. While some photosynthetic red algae do live on the bank, most organic matter enters the benthic ecosystem as marine snow—tiny particles of detritus that drift down from the surface. Because only part of its primary production occurs via photosynthesis, Cordell Bank is considered a mesophotic reef.
Hypoxia monitoring
- CMSF has funded hypoxia monitoring at Cordell Bank since 2014.
- BML and CBNMS have collaborated on monitoring efforts to track dissolved oxygen conditions over time.
-
This work is building a valuable long-term dataset that:
- Supports current and future scientific work.
- Improves understanding of stratified processes on the continental shelf and slope.
